Weather Map Philippines Typhoon – No active tropical cyclone has been monitored within and outside the Philippine Area of Responsibility, according to weather bureau PAGASA Claim: A Signal No. 4 super typhoon is expected to enter . Super typhoon Liwayway.โ Latest weather update! December 19, 2023.) The facts: According to the latest public weather forecast of the Philippine Atmospheric, Geophysical, and Astronomical .
Weather Map Philippines Typhoon
Source : weather.com
PHILIPPINES:TYPHOON WEATHER UPDATE YouTube
Source : m.youtube.com
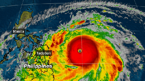
Typhoon Kammuri Was the Strongest Central Philippines Landfall in
Source : weather.com
West Pacific typhoon intensifies | CNN
Source : www.cnn.com
Rare Super Typhoon Surigae Barrels Towards the Philippines
Source : weather.com
Typhoon Doksuri impacting the Philippines, heading toward Taiwan next
Source : www.accuweather.com
Rare Super Typhoon Surigae Barrels Towards the Philippines
Source : weather.com
NASA finds huge rainfall totals from Typhoon Melor over Philippines
Source : phys.org
Rare Super Typhoon Surigae Barrels Towards the Philippines
Source : weather.com
Typhoon Vongfong makes landfall and will continue to lash the
Source : www.cnn.com
Weather Map Philippines Typhoon Super Typhoon Goni Kills 10 in the Philippines | Weather.com: The 12 hour Surface Analysis map shows current weather conditions, including frontal and high/low pressure positions, satellite infrared (IR) cloud cover, and areas of precipitation. A surface . Night – Mostly clear. Winds variable at 4 to 6 mph (6.4 to 9.7 kph). The overnight low will be 71 ยฐF (21.7 ยฐC). Sunny with a high of 90 ยฐF (32.2 ยฐC). Winds from ENE to E at 5 to 11 mph (8 to .









